Fai di Sky Sport il tuo sito preferito su Google
Arrow-link
Arrow-link

Formula 1, meteo GP di Giappone 2019: allerta per il super tifone Hagibis, pole domenica?

Formula 1

Il Gran Premio del Giappone a Suzuka potrebbe essere condizionato dall'arrivo di un super tifone che sabato si abbatterà sulla capitale Tokyo (a 300 Km circa dalla sede della gara). La FIA continua a monitorare la situazione, presa in considerazione l'ipotesi di slittamento delle qualifiche a domenica mattina. Intanto cancellate alcune gare dei Mondiali di rugby, tra cui Nuova Zelanda-Italia

GP GIAPPONE, LA CRONACA DELLA GARA

Un super tifone ribattezzato Hagibis in arrivo sul Giappone con il rischio di creare problemi anche al GP di Suzuka. Mentre nel Mondiale di rugby sono state annullate alcune gare, tra cui Nuova Zelanda-Italia, al momento non sono state apportate modifiche al programma F1 delle libere, delle qualifiche e della gara ma la situazione meteo viene costantemente monitorata. "La FIA, la Formula 1, il circuito di Suzuka e la Federazione automobilistica giapponese stanno monitorando da vicino il tifone Hagibis e il suo potenziale impatto sul Gran Premio del Giappone di Formula 1 2019 - recita l'ultima nota della Federazione Si sta compiendo ogni sforzo per ridurre al minimo l'interruzione del programma di Formula 1, tuttavia la sicurezza dei fan, dei concorrenti e di tutti sul circuito di Suzuka rimane la priorità assoluta. Tutte le parti continueranno a monitorare la situazione e forniranno ulteriori aggiornamenti a tempo debito".

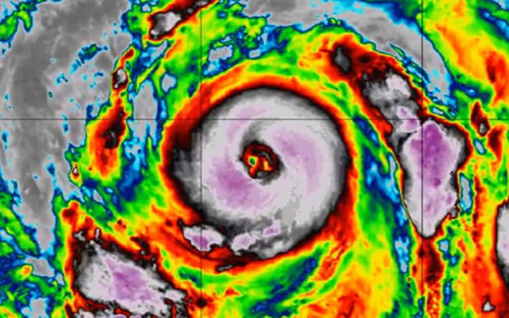
Ma cos'è Hagibis?

Il tifone è un ciclone tropicale, nel caso di Hagibis di categoria 5 con venti a 250 km/h che al momento minaccia Tokyo; il rischio di piogge torrenziali potrebbe dunque creare problemi anche alla tappa giapponese della Formula 1. In meno di due giorni Hagibis è passato da tempesta a un potentissimo tifone di massima categoria.

La FIA, la Formula 1, il circuito di Suzuka e la Federazione automobilistica giapponese stanno monitorando da vicino il tifone Hagibis e il suo potenziale impatto sul Gran Premio del Giappone di Formula 1 2019. Si sta compiendo ogni sforzo per ridurre al minimo l'interruzione del programma di Formula 1, tuttavia la sicurezza dei fan, dei concorrenti e di tutti sul circuito di Suzuka rimane la priorità assoluta. Tutte le parti continueranno a monitorare la situazione e forniranno ulteriori aggiornamenti a tempo debito.

Le previsioni e il rugby che si ferma

Le previsioni meteo hanno annunciato per il weekend l'arrivo del tifone - il 19esimo stagionale in Giappone - e sabato Hagibis dovrebbe abbattersi su Tokyo a circa 300 km a est di Suzuka. La FIA avrebbe già preso in considerazione l'ipotesi di spostare le qualifiche la mattina di domenica 13 ottobre. L'arrivo di Hagibis, come detto, ha provocato anche la cancellazione degli incontri in programma per sabato prossimo tra Inghilterra e Francia e tra Italia e Nuova Zelanda dei Mondiali di rugby.

I precedenti

In attesa della decisione sullo slittamento delle qualifiche dal sabato alla domenica di Suzuka, ricordiamo che in Formula 1 ci sono dei precedenti: sempre a Suzuka nel 2004, in Australia nel 2013 (con il Q2 ed il Q3 spostati a domenica) ed Austin nella stagione 2015.

Segui tutti gli aggiornamenti di Sky Sport

- Segui Sky Sport su Google Discover- Non perderti live, news e video

- WhatsApp - Le notizie che devi sapere? Le trovi sul canale di Sky Sport

- Guarda tutti gli Highlights - Entra in SkyLightsRoom

- Offerte Sky - Scopri le promozioni disponibili e attivale subito

 

FORMULA 1: ALTRE NEWS